Bought with Marie C DiLorenzo • Oakcrest Commercial Real Estate
$220,000
$240,000
8.3%For more information regarding the value of a property, please contact us for a free consultation.
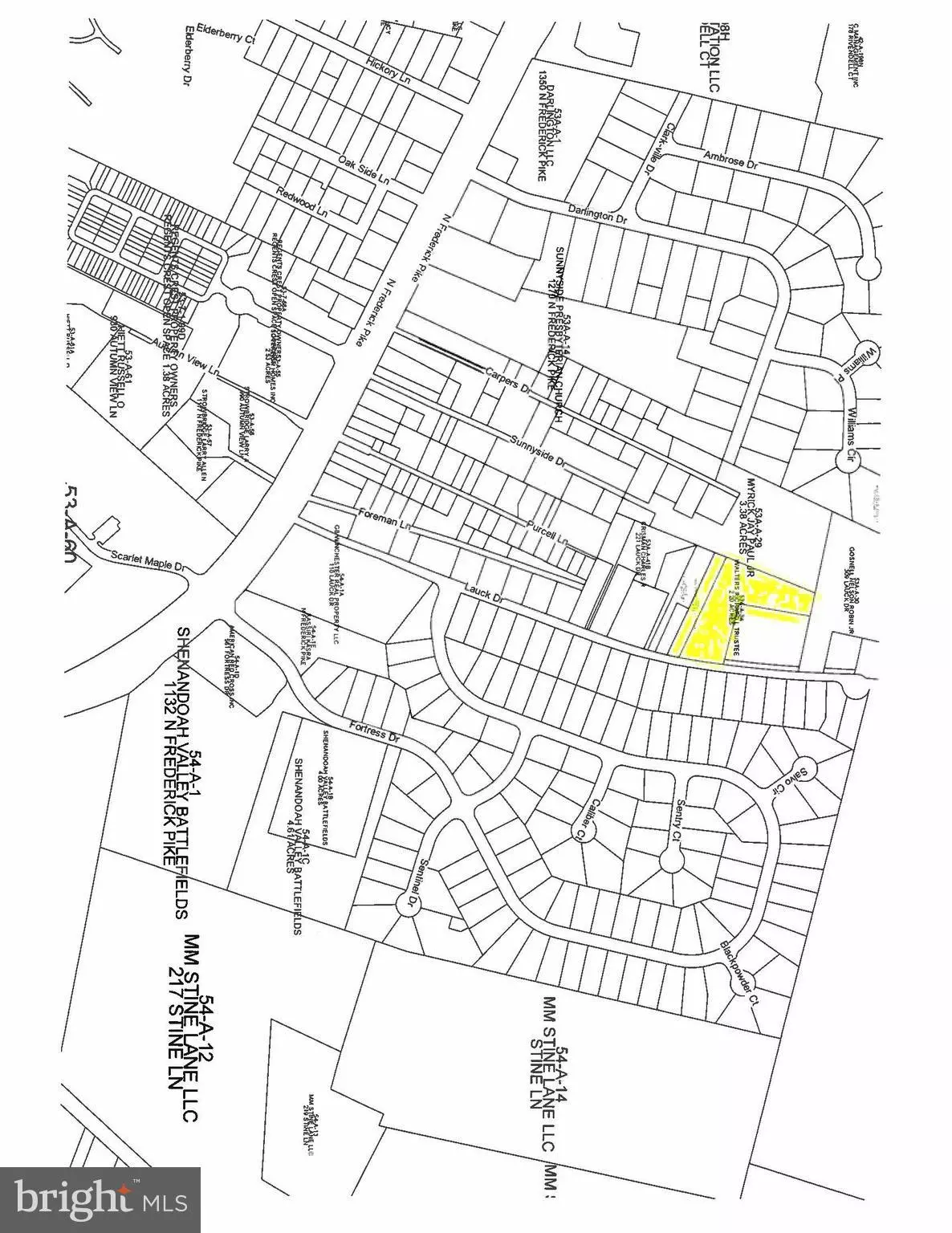
2.71 Acres Lot
SOLD DATE : 03/25/2022
Key Details
Sold Price $220,000
Property Type Vacant Land
Listing Status Sold
Purchase Type For Sale
Subdivision Sunnyside
MLS Listing ID VAFV2001768
Sold Date 03/25/22
HOA Y/N N
Year Built 2023
Annual Tax Amount $349
Tax Year 2021
Lot Size 2.710 Acres
Acres 2.71
Source BRIGHT
Property Description
Opportunity for lots in Winchester in
Zoned RPResidential Performancesingle family, multiplex, townhouses, garden apartments-multi family
Sunnyside.
Convenient to RT37, I-81, Downtown Winchester
Location
State VA
County Frederick
Zoning RP
Interior
Hot Water None
Heating None
Cooling None
Heat Source None
Exterior
Water Access N
Farm Other
Accessibility None
Garage N
Building
Story 1
Sewer No Sewer System
Water None
Level or Stories 1
Additional Building Above Grade, Below Grade
New Construction N
Schools
School District Frederick County Public Schools
Others
Senior Community No
Tax ID 53A A 34 AND 53A A 35
Ownership Fee Simple
Special Listing Condition Standard
Read Less Info
Want to know what your home might be worth? Contact us for a FREE valuation!

Our team is ready to help you sell your home for the highest possible price ASAP


"My job is to find and attract mastery-based agents to the office, protect the culture, and make sure everyone is happy! "